Getting Started

Modified on Tue, 2 Mar, 2021 at 2:14 PM

The ProWeb online portal has been designed to be easy to navigate while offering lots of search parameters and functionality.


To assist with navigating and getting around the portal as quickly as possible, Transmille has written a short guide explaining key menus and functions.


After navigating to the website, you will see the log in screen.



Depending on how the portal has been configured by your service provider, the logo and functions may vary slightly however the key elements of Username and Password, as well as the the 'Log In' and 'Forgotten Password' buttons will remain the same.


To log in to the portal, enter the username that has been provided to you by your service provider along with the Password and click the 'Log In' button. If you have forgotten your password, or wish to reset the password follow the instructions here.


After logging in you will be met with the default screen which lists the 50 most recent calibrations that your service provider has uploaded. Please note that there may be some delay between the calibration being performed and the certificate being uploaded as it can take some time for certificates to be approved.


The main screen provides a menu at the top and a searchable data grid with the most recent calibrations.



This grid is searchable by typing into the 'Search' box, but will only search within the most recent calibrations.


The grid can be sorted by clicking on the required column header, the arrow next to the column will indicate if it is ascending or descending order.


To download the PDF certificate, click on the 'Download Certificate xxxxx' text in BLUE. This will open a new window with the PDF.


To export the contents of the grid to excel, pdf or csv format, click the 'Export' button and then select the desired option.



To perform a full search with multiple parameters, you will need to navigate to the 'Search for Instruments' page, which is accessible via the top menu. If you are using a mobile device or lower resolution screen this menu is accessed by pressing the 3 horizontal lines at the top right.





After navigating to this page, multiple text boxes will appear allowing either data entry or selection from drop down lists or calendar style views depending upon the option selected.



To perform a search, enter the desired parameters and then click 'Search'.




This grid can also be sorted, searched as well as the certificate downloaded as before, however in addition the full record for the instrument can be viewed by clicking the 'View Instrument' text on the left hand side of the screen.


On this screen additional information can be viewed such as the Description, Location (if you have provided this to your calibration service provider), the Status, the Calibration Interval as well as view every calibration/service that your provider has performed on the instrument.



This grid can be searched and exported as before, as well as the PDF certificate downloaded by clicking on the Certificate Number as highlighted in Blue.


The entire calibration inventory can be viewed by clicking the 'View Full Inventory' menu item, in which every instrument is listed along with the most recent Certificate Number and Calibration date. The number of calibrations/jobs is also listed for your reference along side the Manufacturer, Model Number, Serial Number, Description, Instrument Status, Calibration Service Provider ID and your reference number (if provided).


As there is more information on this screen a small green circle will appear next to each record that will show more information when clicked.





This grid can also be exported and searched as before, however may take some time to load depending upon the number of instruments in your inventory.


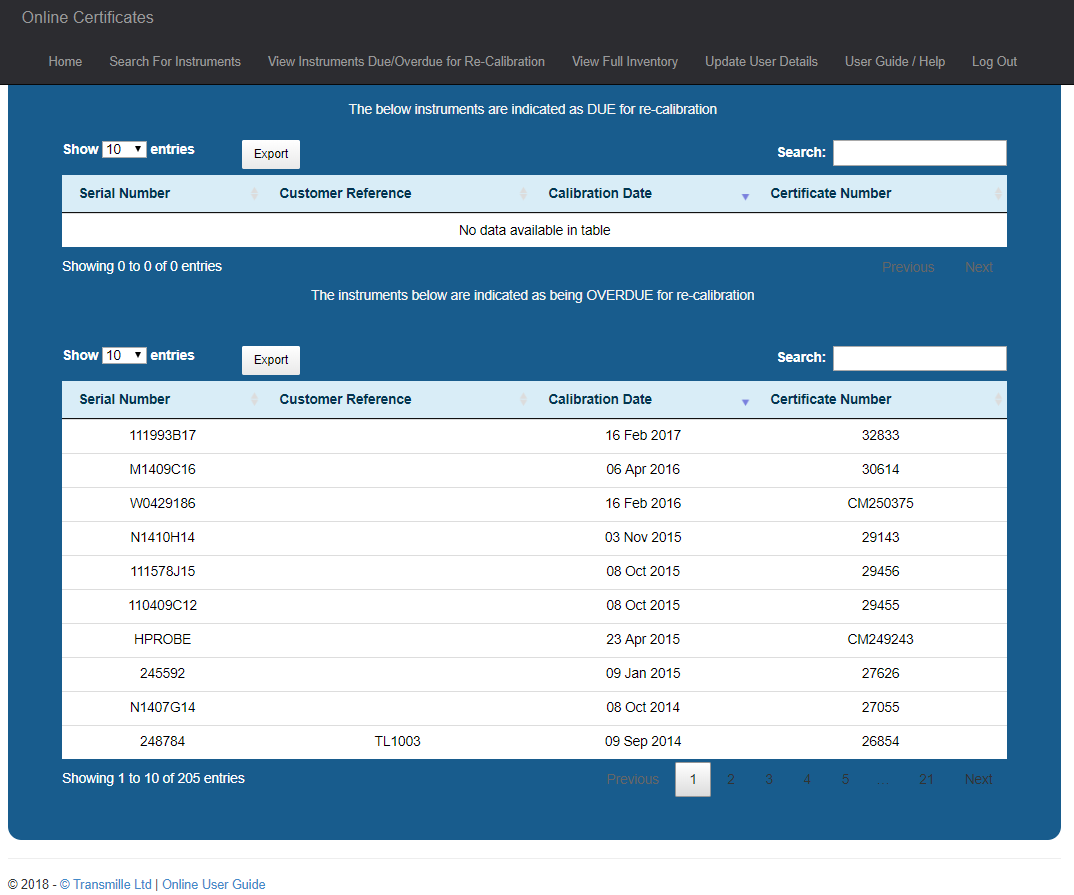
Finally, a list of all instruments that are indicated by the service provider as DUE for re-calibration (typically 4 weeks notice) or OVERDUE for re-calibration can be viewed by clicking 'View Instruments Due/Overdue for Re-Calibration'.



All instruments marked by your calibration service provider as DUE or OVERDUE calibration will appear in this list, the grids can be exported or saved as with all other grids on the portal.

Was this article helpful?

That’s Great!

Thank you for your feedback

Sorry! We couldn't be helpful

Thank you for your feedback

Let us know how can we improve this article!

Select at least one of the reasons
CAPTCHA verification is required.

Feedback sent

We appreciate your effort and will try to fix the article